Good News in a Broken World: 4 Stories That Bring Hope and Light

Carbonatix Pre-Player Loader

Audio By Carbonatix

Our world often feels heavy, doesn't it? Between war, division, and loss, we're overwhelmed with grief to the point of sorrow. And yet, what if I told you hope still whispers in the small corners of everyday life? Would you believe me? Maybe it's time we remember to turn on the light. 

While many stories of God's goodness are all around us, here are four that show us, even now, light is breaking through the cracks. Across the globe, ordinary people are doing extraordinary and miraculous things. They're showing love, rebuilding hope, giving generously without reproach, and living out the gospel. What if the best headlines aren't the ones that make us fearful, but the ones that remind us God is moving on our behalf?

 

Photo Credit: ©iStock/Getty Images Plus/Trifonenko

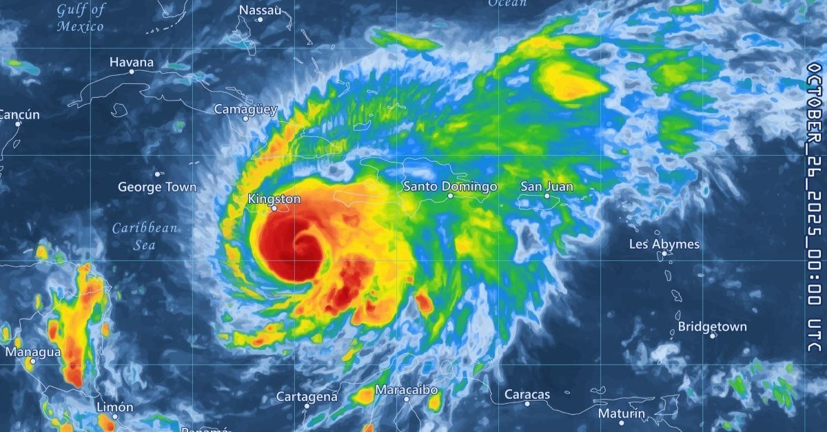
1. Neighbors Rebuild after the Storm

1. Neighbors Rebuild after the Storm

After a category 5 hurricane hit Jamaica, many were left without food, clothing, or shelter. While hurricanes are horrible natural disasters, the impact of Hurricane Melissa runs deep. Countries like Jamaica are small and will need an immense amount of help to properly recover. In Tennessee, one restaurant has stepped up to the plate to make a difference.

Ouida Bradshaw, the owner of Jamaica Way Restaurant, has deep Jamaican roots. While she first came to the United States in 1996, she said that a part of her and her heart will always remain on that island. Today, Bradshaw has been serving Jamaican cuisine for the last 26 years. In response to the natural disaster, she's decided to donate 10% of her sales to those recovering from the destruction and spread the word.

"I know the hardship that some people go through, and on top of that, to be faced with this devastation to their homes, our property, our businesses [it's devastating]," Bradshaw said. Partnering with Pastor Gordan Jones at Riverside Nashville, a division of an international church network that operates ADRA, a global disaster agency, all donations will focus on purchasing the essentials—generators, food, clothing, and medical supplies. 

Despite the measure of damage, Jones and Bradshaw remain hopeful: "Jamaicans are very resilient people. They have faced a lot of things in their lifetime," Bradshaw said. Galatians 6:2 matches the motivation behind their actions: "The Bible says that we should take care of our neighbors... we should make sure our neighbors are doing well as we are doing well," said Jones.

Photo credit: ©GettyImages/FrankRamspott

2. Gospel Goes Viral

2. Gospel Goes Viral

If one social media platform is impacting this generation, it's TikTok. While many controversies exist around its usage, one Content Creator is determined to use the platform to make the gospel go viral.

John C. Dirks, host of the Dirks Podcast, has used Halloween, one of the most debated holidays, as an opportunity to have Jesus "take over Halloween." Instead of following trends rooted in vanity or quick fads, Dirks is encouraging believers to create and share a new wave of good—to take over the algorithm by shining the light of Jesus to all. 

According to his reel posted on October 29th, "Over 1 million people have seen the Halloween takeover for Jesus challenge, and thousands of Christians are going to be posting a video of themself sharing the gospel on October 31, using the hashtag #gospelgoesviral." Instead of choosing sides in the Halloween debacle, Dirks says this Halloween is a beautiful opportunity to set aside these differences and share the gospel. Dirks believes this could be the largest sharing of the gospel in all of history. 

As Matthew 5:16 reminds us, "In the same way, let your light shine before others, that they may see your good deeds and glorify your Father in heaven" (NIV). Will you share the gospel and shine Jesus' light this Halloween?

Photo Credit: © Getty Images/Alek Zotoff

3. Mental Health Breakthrough: Churches Are Reclaiming Mental Health

3. Mental Health Breakthrough: Churches Are Reclaiming Mental Health

Faith and mental health haven't seen eye-to-eye for many decades, but healing isn't either/or it's holy and human. You can be a Christian and still receive help from therapy, medication, doctors, and practical measures, like prayer and reading the Bible. In Chicago, one Church has gotten on board with this stance and is encouraging others to do the same. 

In observance of Mental Illness Awareness Week, October 5th-11th, Edgewater Presbyterian Church decided it was time to take a stand for what it truly means to be the body of Christ. When asked, "Who is my neighbor?" Rev. Kristin Hutson believes that includes those with mental and physical illness. Instead of shunning them from the church or making them feel bad for their struggles, we should invite them in and support them. Focusing on neurodiversity, Hutson feels that all brains are unique and function in different ways; therefore, our approaches in the church should never be one size fits all. Of this approach, Gerald "Gerry" Farinas, a ruling elder of the church, speaks boldly:

"[We're] working to change the all too widespread perceptions that persons with mental illness are not beloved children of God." Farinas, who has experienced his fair share of anxiety and depression and needed therapy and medication to function, believes that everyone needs to hear the truth in this message. 

"I shared about the stigma in my extended family, culturally, that this would mean I am weak; that I got this way because I don't have enough faith in God to just snap my mind back into a happy mood," Farinas said. But Huston reminded and educated me: "This is not weakness, and getting help is not about having enough faith. It's biological chemistry, and medication and therapy are given to us as tools by God to help us.”

If more churches could get on this trend, Psalm 34:18 would be lived out. We need to serve those who are broken and hurting just as the Lord would—and that extends to those suffering silently in our congregations. Hope grows when we break the stigma and help healing to occur.

Photo Credit: ©Getty Images/Westend61

4. High School Spreads Kindness and Inclusion

4. High School Spreads Kindness and Inclusion

Most people either hate or love high school. It can be a troubling, confusing, and maturing time for many. But one student believes that high school is the perfect opportunity to do good to those in need and make sure as many people as possible know they're loved, accepted, and treated fairly. 

In Chillicothe, Ohio, student Ella Morehead took her passion for joy to the next level. After meeting with multiple school advisors, Chillicothe High School supported Morehead and held a kickoff event where students were encouraged to end violence. Morehead's project is modeled after a program started by families after the 2012 shooting at Sandy Hook Elementary. SAVE stands for Students Against Violence Everywhere. 

Morehead gets her desire to do good from her upbringing. As a dancer, cross-country runner, and lover of Disney, Ella has always been ambitious, hard-working, and driven. As just a sophomore, her efforts have started a kindness revolution in the school and helped CHS receive $2,200 to begin spreading kindness. This donation was received from the Fraternal Order of Eagles Chillicothe Aerie 600. 

As Proverbs 16:24 notes, "Kind words are like honey— sweet to the soul and healthy for the body" (NLT). We, too, can take action and spread this kindness around our schools, colleges, towns, workplaces, and communities. 

A Call to Find Good News

Sadly, good news and events like these don't always make the front page. But we can change that. As a society, we can learn to look for the good and rejoice at what's worth celebrating. These stories are merely a snapshot of what's happening in your community. Goodness exists. The question is, will you seek it out? Will you find it and share it? God's fingerprints are everywhere. But sometimes, we need help opening our eyes. Have you seen God’s goodness this week? If so, how can you become someone’s good news today?

Photo Credit: ©Getty Images/SDI Productions

 

Sponsored Links

Check This Out

View All